Astora Márvány8

Eladó ikerház
Kóka

+ 4 kép 1/7
59 900 000 Ft59.9 M Ft 554 630 Ft/m2
4 szoba
108 m²
építés éve:2026

Részletes adatok

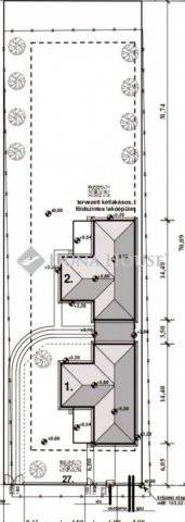
Telekméret: 1407 m2
Fűtés: Egyéb
Energetikai besorolás: Nem adta meg a hirdető

Az OTP Bank lakáshitel ajánlataFizetett hirdetés

3629769717
Dévai Éva
referens

Érdekel az OTP Bank kedvezményes lakáshitel ajánlata? *

* A kérdésre „Igen” válasz bejelölése esetén, az „Üzenet küldése” gombra kattintva kijelentem, hogy az OTP Bank Nyrt. Adatkezelési tájékoztatójának tartalmát megismertem és tudomásul vettem.

Eladó ikerház leírása

Kókán Új építésű Ikerház Garázs kapcsolattal!

Megvételre kínálok Kókán minőségi kivitelezéssel készülő Ikerház felet.

HÁTSÓ INGATLAN!

Az Ingatlan nagyon jó csendes helyen helyezkedik el,a busz megállótól 10 perc sétára,ami közvetlen a Sülysápi Vasútállomás érkezik.

Számos Referencia munkával állunk rendelkezésre.

Az ingatlan felosztása:

- Szoba: 14,04 nm2

- Szoba: 12,15 nm2

- Szoba: 12,15 nm2

- Fürdőszoba: 6,6 nm2

- wc: 1,8 nm2

- Amerikai Konyha -Nappali : 27,44 nm2

- Szélfogó : 4,86 nm2

- Háztartási Helyiség : 3,96 nm2

- Közlekedő : 9,3 nm2

- Nyitott Terasz : 15,6 nm2

Az Ingatlan szerkezete B30-as Tégla 15 cm szigeteléssel.

A tető szerkezete fa födémes,20 cm kőzetgyapot szigeteléssel,plusz betoncserép fedéssel.

Az ingatlan teljes belső területe fűtéséről hőszivattyú gondoskodik,amely padlófűtéssel párosul.

700 nm2-es telek tartozik az ingatlanhoz,amely ideális mind a családi összejövetelek,grillezések és kikapcsolódás helyszíneként.

Klíma kiépítése lehetséges ezt a kivitelezővel kell előre egyeztetni.

Amely a vételárban benne van:

- Meleg burkolatok 3500,-
- Hideg burkolatok 4000,-
- Beltéri ajtók 30.000,-
- Csapok/db 15.000,-
- Kád: 40.000,-
- Mosdó 20.000,-
- Wc 20.000,-
- Terep rendezés.

Átadás várható ideje: 2026. első negyedév.

Várom megtisztelő hívását.Tekintsük meg együtt Álmai Otthonát!

Bank független hitel ügyintézővel is állok rendelkezésére..
Érd: Dévai Éva, tel: +36303506820, e-mail: devai.eva@dh.hu

Referencia szám: HZ040832-ZE

Hirdetés feltöltve: 2026. 04. 03. Utoljára módosítva: 2026. 04. 03.

4 szobás ikerházak ára Kókán

Ebből az összehasonlításból megtudhatod, hogyan viszonyul a lakás ára a környékbeli ikerházak átlagos árához. Ez nem azt jelenti, hogy ennyivel olcsóbb vagy drágább, mint amennyit a lakás ér, hanem hogy ennyivel tér el a környékbeli átlagtól.

Ennek a m² ára
Kóka m² ár
555 e Ft
592 e Ft 6%
Ennek az ára
Kóka átlagár
59.9 M Ft m Ft
60.6 m Ft 1%

Az ingatlan elhelyezkedése

Cím: Kóka

Eladó ikerházak a környékről

Mogyoród
Eladó ikerház

Mogyoród

129 M Ft
5 szoba
123 m²
Mogyoród
Eladó ikerház

Mogyoród

135 M Ft
5 szoba
137 m²
Kóka
Eladó ikerház

Kóka

62 M Ft
4 szoba
93 m²
Kóka
Eladó ikerház

Kóka

59.99 M Ft
4 szoba
93 m²
Dunakeszi
Eladó ikerház

Dunakeszi

178 M Ft
6 szoba
140 m²
Szentendre
Eladó ikerház

Szentendre

718 M Ft
10 + 2 szoba
578 m²
Diósd
Eladó ikerház

Diósd

206.25 M Ft
5 szoba
184 m²
Kóka
Eladó ikerház

Kóka

62 M Ft
4 szoba
93 m²
Vác
Eladó ikerház

Vác

96.7 M Ft
4 + 1 szoba
126 m²
Kóka
Eladó ikerház

Kóka

59.9 M Ft
4 szoba
108 m²
Pomáz
Eladó ikerház

Pomáz

129.5 M Ft
4 szoba
100 m²
Budakalász
Eladó ikerház

Budakalász

195 M Ft
5 + 2 szoba
170 m²
Kóka
Eladó ikerház

Kóka

58.99 M Ft
4 szoba
101 m²
Vác
Eladó ikerház

Vác

99.7 M Ft
4 + 1 szoba
129 m²
Szentendre
Eladó ikerház

Szentendre

179 M Ft
5 + 1 szoba
147 m²
Kóka
Eladó ikerház

Kóka

59.9 M Ft
4 szoba
108 m²
Kóka
Eladó ikerház

Kóka

59.9 M Ft
4 szoba
108 m²
Kóka
Eladó ikerház

Kóka

63 M Ft
4 szoba
113 m²
Kóka
Eladó ikerház

Kóka

63.9 M Ft
4 szoba
102 m²
Kiskunlacháza
Eladó ikerház

Kiskunlacháza

44.9 M Ft
2 szoba
39 m²
Dunakeszi
Eladó ikerház

Dunakeszi

149 M Ft
1 + 4 szoba
127 m²
Mogyoród
Eladó ikerház

Mogyoród

135 M Ft
5 szoba
137 m²
Érd
Eladó ikerház

Érd

177.7 M Ft
7 szoba
181 m²
Kóka
Eladó ikerház

Kóka

62 M Ft
4 szoba
93 m²

Falusi CSOK ingatlanok

Tápióbicske
Eladó ikerház

Tápióbicske

93.5 M Ft
7 szoba
136 m²
Érpatak
Eladó családi ház

Érpatak

35 M Ft
4 szoba
160 m²
Vokány
Eladó családi ház

Vokány

30 M Ft
4 szoba
100 m²
Ceglédbercel
Eladó családi ház

Ceglédbercel

79.9 M Ft
5 szoba
140 m²
Balatonszemes
Eladó téglalakás

Balatonszemes

119.9 M Ft
2 szoba
81 m²
Nyírtura
Eladó családi ház

Nyírtura

69.9 M Ft
4 szoba
120 m²
Verseg
Eladó családi ház

Verseg

38 M Ft
3 szoba
83 m²
Berzence, Mátyás utca
Eladó családi ház

Berzence

26.8 M Ft
3 szoba
94 m²