Aerogate Homes

Eladó telek
Balatonudvari

Figyelem!

Ez az ingatlan a 2019.07.01-től induló falusi CSOK által támogatott településen található

56 800 000 Ft56.8 M Ft 81 143 Ft/m2
700 m2

Részletes adatok

Telekméret: 700 m2
Fűtés: Egyéb
Energetikai besorolás: Nem adta meg a hirdető

Az OTP Bank lakáshitel ajánlataFizetett hirdetés

+36 70 741
Margit Molnár
Balatoni Ingatlanguru

Érdekel az OTP Bank kedvezményes lakáshitel ajánlata? *

* A kérdésre „Igen” válasz bejelölése esetén, az „Üzenet küldése” gombra kattintva kijelentem, hogy az OTP Bank Nyrt. Adatkezelési tájékoztatójának tartalmát megismertem és tudomásul vettem.

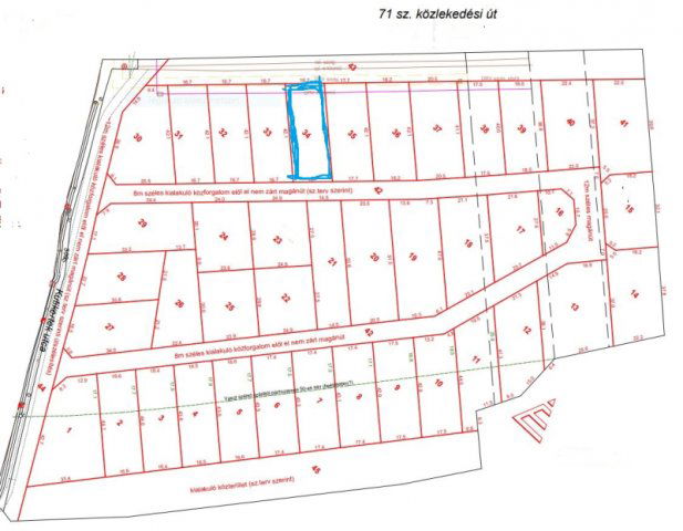
Eladó telek leírása

BALATONUDVARIBAN BELTERÜLETI ÉPÍTÉSI TELEK ELADÓ

Udvari belterületén, a Keresztfa dűlőn, újonnan parcellázott 700 m2-es (16,7 m utcafronti szélességű) építési telket kínálunk eladásra, amelyről szép balatoni panoráma nyílik.

A teljes - újra felosztott - területen 45 db építési telek került kialakításra, közművesítése a telektulajdonosok összefogásával zajlik. A közeljövőben itt induló ingatlanfejlesztések egy remek elhelyezkedésű, újépítésű, lakóparkszerű településrészt hoznak létre Udvari keleti szélén, Örvényes határában.
A telek befektetésnek is kiváló. A Balatoni Golf Club 1 km, Udvari strand 500 m, Örvényes strand 1,9 km, vasútállomás 600 m, buszmegálló és élelmiszerbolt 600 m távolságra elérhető.

Lf4 falusias lakóterület övezetbe tartozik, ahol az elhelyezhető felépítmény: legfeljebb 1 db, 2 lakóegységet magában foglaló lakóépület lehet
- max. beépíthetőség 30 %, szabadon álló beépítési móddal
- min. zöldfelület 60 %
- max. épület magasság 4,5 m

Balatonudvari a Balaton északi partján, Balatonfüredtől 10 km-re, a Tihanyi-félsziget szomszédságában fekszik, csendes, nyugodt üdülőfalu. A településen két remek strand, kertmozi, nyári vendéglátóhelyek sokasága üzemel. Balatonfüred és Tihany közelsége biztosítja a pillanatok alatt elérhető infrastruktúrát, kulturális és sportolási lehetőségeket.

Építész- és ingatlanközvetítő irodánk minden hiteles szakmai segítséget meg tud adni, mellyel segíteni tudjuk döntését.
Kérje az ingatlan részletes tájékoztató anyagát!
Kövesse Balatoniingatlanguru facebook és balatoni_ingatlanguru instagram oldalunkat.
Hívjon bizalommal!
Balatoni ingatlanguru – több mint közvetítő

Hirdetés feltöltve: 2025. 12. 12. Utoljára módosítva: 2026. 02. 05.

Telkek ára Balatonudvariban

Ebből az összehasonlításból megtudhatod, hogyan viszonyul a lakás ára a környékbeli telkek átlagos árához. Ez nem azt jelenti, hogy ennyivel olcsóbb vagy drágább, mint amennyit a lakás ér, hanem hogy ennyivel tér el a környékbeli átlagtól.

Ennek a m² ára
Balatonudvari m² ár
81 e Ft
59 e Ft -37%
Ennek az ára
Balatonudvari átlagár
56.8 M Ft m Ft
49.7 m Ft -14%

Az ingatlan elhelyezkedése

Cím: Balatonudvari

Eladó ingatlanok a környékről

Eladó telek
Eladó telek

Salföld

55 M Ft
86539 m²
86539 m2
Eladó családi ház
Eladó családi ház

Marcaltő

20.9 M Ft
3 + 1 szoba
90 m2
Eladó telek
Eladó telek

Balatonudvari, Gesztenye sor

69.99 M Ft
1583 m²
1583 m2
Eladó családi ház
Eladó családi ház

Ajka

51.3 M Ft
2 szoba
77 m2
Eladó telek
Eladó telek

Balatonudvari

14.6 M Ft
2877 m²
2877 m2
Eladó családi ház
Eladó családi ház

Vilonya

135 M Ft
4 szoba
125 m2
Eladó telek
Eladó telek

Csajág

6.99 M Ft
1365 m²
1365 m2
Eladó telek
Eladó telek

Balatonudvari, Gesztenye sor

69.9 M Ft
1583 m²
1583 m2
Eladó családi ház
Eladó családi ház

Királyszentistván

66.5 M Ft
3 + 1 szoba
70 m2
Eladó telek
Eladó telek

Balatonudvari, Gesztenye sor

69.9 M Ft
1583 m²
1583 m2
Eladó téglalakás
Eladó téglalakás

Balatonfüred

74.9 M Ft
5 szoba
81 m2
Eladó telek
Eladó telek

Balatonudvari

69.99 M Ft
1583 m²
1583 m2
Eladó családi ház
Eladó családi ház

Nemesszalók

41.9 M Ft
5 + 1 szoba
170 m2
Eladó telek
Eladó telek

Balatonfüred, Balassi Bálint utca

46 M Ft
901 m²
Eladó családi ház
Eladó családi ház

Nagytevel

41.9 M Ft
2 + 1 szoba
75 m2
Eladó telek
Eladó telek

Szigliget

59 M Ft
1555 m²
1555 m2
Eladó telek
Eladó telek

Csopak

69.9 M Ft
1235 m²
Eladó telek
Eladó telek

Tihany, Cserhegy

42 M Ft
1514 m²
1514 m2
Eladó családi ház
Eladó családi ház

Pápa

34.9 M Ft
2 + 1 szoba
127 m2
Eladó telek
Eladó telek

Balatonudvari

69.99 M Ft
1583 m²
Eladó családi ház
Eladó családi ház

Ajka

135.6 M Ft
6 szoba
200 m2
Eladó telek
Eladó telek

Révfülöp

44.9 M Ft
7350 m²
Eladó téglalakás
Eladó téglalakás

Balatonfűzfő

32 M Ft
1 szoba
36 m2
Eladó téglalakás
Eladó téglalakás

Pápa

40.5 M Ft
2 szoba
54 m2

Falusi CSOK ingatlanok

Eladó családi ház
Eladó családi ház

Gégény, Kossuth

15 M Ft
4 szoba
135 m2
Eladó családi ház
Eladó családi ház

Darnózseli

79.9 M Ft
4 szoba
104 m2
Eladó családi ház
Eladó családi ház

Fülöpszállás

23.6 M Ft
3 szoba
115 m2
Eladó családi ház
Eladó családi ház

Szilvásvárad

31.9 M Ft
2 szoba
82 m2
Eladó családi ház
Eladó családi ház

Véménd

81.9 M Ft
3 szoba
150 m2
Eladó családi ház
Eladó családi ház

Újhartyán

89.9 M Ft
4 szoba
99 m2
Eladó családi ház
Eladó családi ház

Pécsvárad

69.9 M Ft
3 szoba
120 m2
Eladó családi ház
Eladó családi ház

Gyöngyöshalász

59 M Ft
4 + 3 szoba
214 m2

Falusi CSOK ingatlanok

Eladó családi ház
Eladó családi ház

Szigliget

299 M Ft
3 szoba
95 m2
Eladó családi ház
Eladó családi ház

Szederkény

107.9 M Ft
6 szoba
224 m2
Eladó családi ház
Eladó családi ház

Pápakovácsi

79.9 M Ft
4 szoba
210 m2
Eladó családi ház
Eladó családi ház

Himesháza

114.9 M Ft
4 szoba
160 m2
Eladó családi ház
Eladó családi ház

Bugac

55 M Ft
3 szoba
90 m2
Eladó családi ház
Eladó családi ház

Somogyhárságy

186.69 M Ft
5 szoba
250 m2
Eladó családi ház
Eladó családi ház

Magyarszék

48.5 M Ft
3 + 1 szoba
86 m2
Eladó családi ház
Eladó családi ház

Kislippó

16 M Ft
3 szoba
100 m2