Astora Olive Club House

Eladó ipari ingatlan
Gyomaendrőd, Ipari u

+ 8 kép 1/11
99 000 000 Ft99 M Ft 76 154 Ft/m2
1300 m²
építés éve:1970

Részletes adatok

Állapot: Felújított
Telekméret: 6969 m2
Fűtés: Egyéb
Közmű: Víz, Villany
Energetikai besorolás: Nem adta meg a hirdető

Az OTP Bank lakáshitel ajánlataFizetett hirdetés

+36 30 928
Inter Ingatlaniroda
Inter Ingatlaniroda

Érdekel az OTP Bank kedvezményes lakáshitel ajánlata? *

* A kérdésre „Igen” válasz bejelölése esetén, az „Üzenet küldése” gombra kattintva kijelentem, hogy az OTP Bank Nyrt. Adatkezelési tájékoztatójának tartalmát megismertem és tudomásul vettem.

Eladó ipari ingatlan leírása

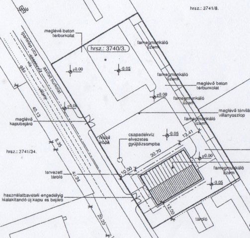
GYOMAENDRŐD, (Békés vármegye)
6.969 m2-es, bekerített, részben közművesített területen,
583 m2-es, 1970-es években épült, körszerű,
állagmegóvott, felújított műhely épület.
Épületei 180 m2-es műhely és raktár,
186 m2-es műhely, iroda és szociális épület,
nyitott szín 312 m2.
Fűtése épületenként szilárd tüzelésű kályha által,
meleg-vízellátás villanybojler által biztosított.
Ingatlan burkolat a helyiségek funkciójának megfelelő.
A belső út, térburkolat 2.000 m2, nagy szilárdságú beton burkolatú.
A telephely épületeinek villamoshálózata újonnan kiépített,
3X125A teljesítménnyel.

Hirdetés feltöltve: 2026. 02. 25. Utoljára módosítva: 2026. 05. 13.

Az ingatlan elhelyezkedése

Cím: Gyomaendrőd, Ipari u

Eladó ingatlanok a környékről

Csorvás
Eladó családi ház

Csorvás

13.9 M Ft
3 szoba
70 m²
Gyula
Eladó családi ház

Gyula

92.5 M Ft
8 szoba
200 m²
Szarvas, Csabai út 9
Eladó ipari ingatlan

Szarvas

198 M Ft
4575 m²
998 m²
Gyula, Botond utca
Eladó ipari ingatlan

Gyula

23.9 M Ft
1561 m²
1561 m²
Gyomaendrőd
Eladó téglalakás

Gyomaendrőd

61 M Ft
2 szoba
65 m²
Dévaványa
Eladó családi ház

Dévaványa

16 M Ft
4 szoba
162 m²
Tótkomlós
Eladó mezogazdasagi ingatlan

Tótkomlós

0.07 M Ft
877 m²
Békéscsaba
Eladó ipari ingatlan

Békéscsaba

359 M Ft
2.23 ha
5625 m²
Gyula, Csabai út
Eladó ipari ingatlan

Gyula

29.8 M Ft
5662 m²
1 m²
Békéscsaba
Eladó ipari ingatlan

Békéscsaba

300 M Ft
2.47 ha
610 m²
Gyomaendrőd
Eladó ipari ingatlan

Gyomaendrőd

60 M Ft
3 ha
3 ha
Orosháza
Eladó családi ház

Orosháza

18 M Ft
2 szoba
115 m²
Békéscsaba, Andrássy út-Bartók Béla út közötti városrész
Eladó családi ház

Békéscsaba

86 M Ft
4 + 2 szoba
185 m²
Békéscsaba
Eladó ipari ingatlan

Békéscsaba

590 M Ft
7804 m²
2046 m²
Békéscsaba
Eladó ipari ingatlan

Békéscsaba

450 M Ft
1.35 ha
3000 m²
Gyula
Eladó ipari ingatlan

Gyula

220 M Ft
850 m²
93 m²
Békéscsaba, Andrássy út-Bartók Béla út közötti városrész, Lencsési lakótelep
Eladó panellakás

Békéscsaba

27.99 M Ft
2 szoba
58 m²
Orosháza, Fasor utca
Eladó családi ház

Orosháza

69.9 M Ft
2 szoba
125 m²
Békéscsaba
Eladó téglalakás

Békéscsaba

22.5 M Ft
1 szoba
38 m²
Békéscsaba
Eladó ipari ingatlan

Békéscsaba

80 M Ft
2000 m²
500 m²
Mezőberény
Eladó ipari ingatlan

Mezőberény

5000 M Ft
12.06 ha
1.03 ha
Kardos
Eladó családi ház

Kardos

5.6 M Ft
2 + 1 szoba
111 m²
Orosháza
Eladó ipari ingatlan

Orosháza

30 M Ft
4.39 ha
50 m²
Békéscsaba
Eladó családi ház

Békéscsaba

109.9 M Ft
4 szoba
175 m²

Falusi CSOK ingatlanok

Nagykarácsony
Eladó családi ház

Nagykarácsony

34.9 M Ft
3 szoba
112 m²
Bükkszék
Eladó családi ház

Bükkszék

78.9 M Ft
2 + 1 szoba
160 m²
Tápióbicske
Eladó családi ház

Tápióbicske

37.5 M Ft
2 szoba
70 m²
Balatonszemes
Eladó téglalakás

Balatonszemes

123.3 M Ft
2 szoba
0 m²
Újlengyel
Eladó családi ház

Újlengyel

77.9 M Ft
4 szoba
0 m²
Hegyeshalom, Margaréta utca 12
Eladó téglalakás

Hegyeshalom

32.89 M Ft
1 szoba
27 m²
Balatonszárszó
Eladó családi ház

Balatonszárszó

178 M Ft
6 szoba
260 m²
Bak
Eladó családi ház

Bak

49.9 M Ft
5 szoba
140 m²