Seven Pearl

Eladó telek
Kistokaj

+ 6 kép 1/9
16 000 000 Ft16 M Ft 7 882 Ft/m2
2030 m2

Részletes adatok

Telekméret: 2030 m2
Fűtés: Egyéb
Energetikai besorolás: Nem adta meg a hirdető

Az OTP Bank lakáshitel ajánlataFizetett hirdetés

+36 70 232
Csendom Zsuzsanna
referens

Érdekel az OTP Bank kedvezményes lakáshitel ajánlata? *

* A kérdésre „Igen” válasz bejelölése esetén, az „Üzenet küldése” gombra kattintva kijelentem, hogy az OTP Bank Nyrt. Adatkezelési tájékoztatójának tartalmát megismertem és tudomásul vettem.

Eladó telek leírása

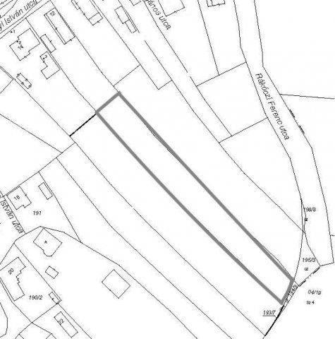
Kistokaj újonnan parcellázott részén egy 2030 nm belterületi építési telek eladó, besorolása "Kivett beépítetlen terület".
Szélessége 16 méter, hosszúsága 135 m egyik oldalon, 141 méter a másik oldalon.

Övezeti besorolása: Lf-2 (falusias lakóövezet), amelynek 30% beépíthető és 4,5 méteres épületmagasság a megengedett, 700 nm legkisebb telekmérettel.

Magasan fekszik, ezáltal a talajvíz nem befolyásolja az új tulajdonos terveit.

A közművek a telek határán vannak. Ideiglenes bekötések elérhetőek igénylés után.

A telekből már megosztásra került a közúthoz a köteles hányad. A közút kivitelezés alatt van. Jelenleg zúzott kavicsos úton lehet elérni az ingatlant.

Hirdetés feltöltve: 2025. 05. 07. Utoljára módosítva: 2025. 11. 02.

Telkek ára Kistokajon

Ebből az összehasonlításból megtudhatod, hogyan viszonyul a lakás ára a környékbeli telkek átlagos árához. Ez nem azt jelenti, hogy ennyivel olcsóbb vagy drágább, mint amennyit a lakás ér, hanem hogy ennyivel tér el a környékbeli átlagtól.

Ennek a m² ára
Kistokaj m² ár
8 e Ft
6 e Ft -32%
Ennek az ára
Kistokaj átlagár
16 M Ft m Ft
7.6 m Ft -110%

Az ingatlan elhelyezkedése

Cím: Kistokaj

Eladó ingatlanok a környékről

Eladó téglalakás
Eladó téglalakás

Miskolc

64.9 M Ft
3 szoba
100 m2
Eladó téglalakás
Eladó téglalakás

Miskolc

19.9 M Ft
1 szoba
35 m2
Eladó nyaraló
Eladó nyaraló

Bogács

54.9 M Ft
3 + 1 szoba
58 m2
Eladó nyaraló
Eladó nyaraló

Bogács

54.9 M Ft
3 + 1 szoba
58 m2
Eladó családi ház
Eladó családi ház

Révleányvár, Fő utca

4.8 M Ft
3 szoba
94 m2
Eladó családi ház
Eladó családi ház

Tiszalúc

5.9 M Ft
3 szoba
70 m2
Eladó családi ház
Eladó családi ház

Miskolc, Bábonyibérc, Közdomb utca

56.99 M Ft
1 + 2 szoba
60 m2
Eladó panellakás
Eladó panellakás

Miskolc, Avas Dél városrész, Középszer

24.8 M Ft
2 + 1 szoba
61 m2
Eladó telek
Eladó telek

Miskolc

39.9 M Ft
802 m²
Eladó telek
Eladó telek

Erdőbénye

10.9 M Ft
1644 m²
1644 m2
Eladó téglalakás
Eladó téglalakás

Királd

4.99 M Ft
2 szoba
53 m2
Eladó téglalakás
Eladó téglalakás

Edelény

21.5 M Ft
3 szoba
72 m2
Eladó téglalakás
Eladó téglalakás

Kazincbarcika

15.9 M Ft
1 szoba
44 m2
Eladó telek
Eladó telek

Alsózsolca, Gesztenye

4.5 M Ft
705 m²
705 m2
Eladó téglalakás
Eladó téglalakás

Miskolc

27.9 M Ft
2 szoba
52 m2
Eladó telek
Eladó telek

Miskolc

6.99 M Ft
707 m²
707 m2
Eladó üzlethelyiség
Eladó üzlethelyiség

Miskolc

62.5 M Ft
882 m²
292 m2
Eladó telek
Eladó telek

Kistokaj

15 M Ft
2829 m²
2829 m2
Eladó panellakás
Eladó panellakás

Tiszaújváros

28.99 M Ft
2 szoba
55 m2
Eladó telek
Eladó telek

Tokaj

2.1 M Ft
3501 m²
3501 m2
Eladó téglalakás
Eladó téglalakás

Miskolc

34.9 M Ft
2 szoba
61 m2
Eladó panellakás
Eladó panellakás

Miskolc, Diósgyőr, Kurucz

20.99 M Ft
1 + 1 szoba
35 m2
Eladó családi ház
Eladó családi ház

Miskolc

78 M Ft
5 szoba
240 m2
Eladó telek
Eladó telek

Miskolc

397.137 M Ft
20521 m²
20471 m2

Falusi CSOK ingatlanok

Eladó családi ház
Eladó családi ház

Jászkarajenő

19.9 M Ft
3 szoba
81 m2
Eladó családi ház
Eladó családi ház

Pannonhalma

145 M Ft
2 + 2 szoba
100 m2
Eladó családi ház
Eladó családi ház

Karád

44.7 M Ft
3 szoba
100 m2
Eladó családi ház
Eladó családi ház

Gáborján

5.5 M Ft
2 szoba
68 m2
Eladó családi ház
Eladó családi ház

Ceglédbercel, Iskola utca

99.99 M Ft
5 szoba
128 m2
Eladó családi ház
Eladó családi ház

Lőkösháza

12.5 M Ft
2 szoba
63 m2
Eladó családi ház
Eladó családi ház

Tokod

89 M Ft
6 szoba
187 m2
Eladó családi ház
Eladó családi ház

Kenyeri

39.9 M Ft
3 szoba
94 m2