Eladó telek
Miskolc, Belváros, 3604

+ 1 kép 1/4
16 000 000 Ft16 M Ft 32 587 Ft/m2
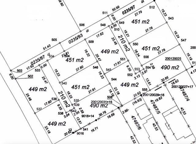
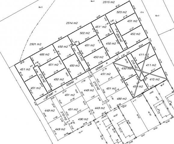
491 m2

Részletes adatok

Telekméret: 491 m2
Fűtés: Egyéb
Közmű: Víz, Villany
Övezet: Lakóövezet
Energetikai besorolás: Nem adta meg a hirdető

Az OTP Bank lakáshitel ajánlataFizetett hirdetés

+36 70 326
Gável Iván
Ingatlanmérték.hu

Érdekel az OTP Bank kedvezményes lakáshitel ajánlata? *

* A kérdésre „Igen” válasz bejelölése esetén, az „Üzenet küldése” gombra kattintva kijelentem, hogy az OTP Bank Nyrt. Adatkezelési tájékoztatójának tartalmát megismertem és tudomásul vettem.

Eladó telek leírása

Miskolc kedvelt részén, Martin-kertváros és Szirma közt, a Miskolci út mellett eladó több darab, déli fekvésű építési telek, mely ideális lehet azoknak, akik eltávolodnának a város zajától, de mégse szeretnének vidéken lakni.

Tökéletes választás fiataloknak, akik ezen a környéken tervezik a jövőt, családosoknak, akik kertes házban szeretnének élni.
A telkekről az egész Bükk és Miskolc panorámája látható.

A telkekből egy vagy több darab is vásárolható akár, de a hirdetésben szereplő telek mérete 657 nm. A feltüntetett ár erre a méretre vonatkozik, közművesítve.

További elérhető méretek:
449 nm - 4 db
451 nm - 4 db
491 nm - 2 db

- Maximális beépítési magasság: 9.0 méter
- Maximális beépíthetőségi százalék: 40%
- Minimális zöldfelület mérete: 10%

További információkért hívjanak bátran!

Gável Iván
Tel.: +36 70 326 3712
Viber: +36 70 152 6740
E-mail: gavel@ingatlanmertek.hu

Hirdetés feltöltve: 2025. 03. 21. Utoljára módosítva: 2025. 10. 12.

Telkek ára Miskolcon

Ebből az összehasonlításból megtudhatod, hogyan viszonyul a lakás ára a környékbeli telkek átlagos árához. Ez nem azt jelenti, hogy ennyivel olcsóbb vagy drágább, mint amennyit a lakás ér, hanem hogy ennyivel tér el a környékbeli átlagtól.

Ennek a m² ára
Belváros m² ár
Miskolc m² ár
33 e Ft
12 e Ft -176%
34 e Ft 5%
Ennek az ára
Belváros átlagár
Miskolc átlagár
16 M Ft m Ft
63.4 m Ft 75%
49.1 m Ft 67%

Az ingatlan elhelyezkedése

Cím: Miskolc, Belváros, 3604

Eladó telkek a környékről

Eladó telek
Eladó telek

Miskolc

401.186 M Ft
20521 m²
20521 m2
Eladó telek
Eladó telek

Miskolc

9.9 M Ft
864 m²
864 m2
Eladó telek
Eladó telek

Ózd

2.3 M Ft
963 m²
Eladó telek
Eladó telek

Miskolc, Miskolc-Tapolca, Iglói utca

21.9 M Ft
2 szoba
874 m2
Eladó telek
Eladó telek

Miskolc, Bábonyibérc, Feszty Árpád utca

43 M Ft
5941 m²
5941 m2
Eladó telek
Eladó telek

Onga

25.461 M Ft
2173 m²
2173 m2
Eladó telek
Eladó telek

Miskolc, Hejőcsaba, Benedekalja utca

7.5 M Ft
2485 m²
2485 m2
Eladó telek
Eladó telek

Ózd

1.99 M Ft
2237 m²
Eladó telek
Eladó telek

Onga

8.5 M Ft
727 m²
727 m2
Eladó telek
Eladó telek

Ózd

2.3 M Ft
812 m²
Eladó telek
Eladó telek

Miskolc

19.99 M Ft
6170 m²
Eladó telek
Eladó telek

Bekecs, Kenderföld utca

2.9 M Ft
339 m²
339 m2
Eladó telek
Eladó telek

Miskolc

0.99 M Ft
1129 m²
Eladó telek
Eladó telek

Miskolc

7.9 M Ft
2530 m²
2530 m2
Eladó telek
Eladó telek

Miskolc

990 M Ft
165000 m²
165000 m2
Eladó telek
Eladó telek

Alsózsolca, Gesztenye

4.5 M Ft
705 m²
705 m2
Eladó telek
Eladó telek

Miskolc, Bábonyibérc, Muskátli utca

7.4 M Ft
750 m²
750 m2
Eladó telek
Eladó telek

Miskolc

6.99 M Ft
707 m²
707 m2
Eladó telek
Eladó telek

Miskolc

7.99 M Ft
902 m²
Eladó telek
Eladó telek

Edelény, 27 főút

8 M Ft
8399 m²
Eladó telek
Eladó telek

Farkaslyuk, Eperjes dűlő

1.29 M Ft
3000 m²
Eladó telek
Eladó telek

Miskolc

9.9 M Ft
864 m²
864 m2
Eladó telek
Eladó telek

Miskolc

33 M Ft
1430 m²
Eladó telek
Eladó telek

Miskolc

185 M Ft
72925 m²
72925 m2

Falusi CSOK ingatlanok

Eladó téglalakás
Eladó téglalakás

Kőröshegy

64.9 M Ft
3 szoba
52 m2
Eladó családi ház
Eladó családi ház

Bár

24.5 M Ft
4 szoba
125 m2
Eladó ikerház
Eladó ikerház

Sáránd

69.9 M Ft
3 szoba
90 m2
Eladó családi ház
Eladó családi ház

Tótszerdahely

55.5 M Ft
4 + 2 szoba
160 m2
Eladó családi ház
Eladó családi ház

Tápiószőlős

3.5 M Ft
1 szoba
75 m2
Eladó családi ház
Eladó családi ház

Emőd

31.99 M Ft
2 szoba
75 m2
Eladó ikerház
Eladó ikerház

Balatonakali

165 M Ft
4 szoba
138 m2
Eladó családi ház
Eladó családi ház

Tápiógyörgye

6.5 M Ft
2 szoba
62 m2