Eladó ipari ingatlan
Jánoshalma

+ 17 kép 1/20
250 000 000 Ft250 M Ft 31 250 Ft/m2
8000 m2

Részletes adatok

Telekméret: 21474 m2
Fűtés: Egyéb
Energetikai besorolás: Nem adta meg a hirdető

Az OTP Bank lakáshitel ajánlataFizetett hirdetés

+36 30 616
Zombori Mátyás
STOP Ingatlan

Érdekel az OTP Bank kedvezményes lakáshitel ajánlata? *

* A kérdésre „Igen” válasz bejelölése esetén, az „Üzenet küldése” gombra kattintva kijelentem, hogy az OTP Bank Nyrt. Adatkezelési tájékoztatójának tartalmát megismertem és tudomásul vettem.

Eladó ipari ingatlan leírása

Otthonok és megoldások!
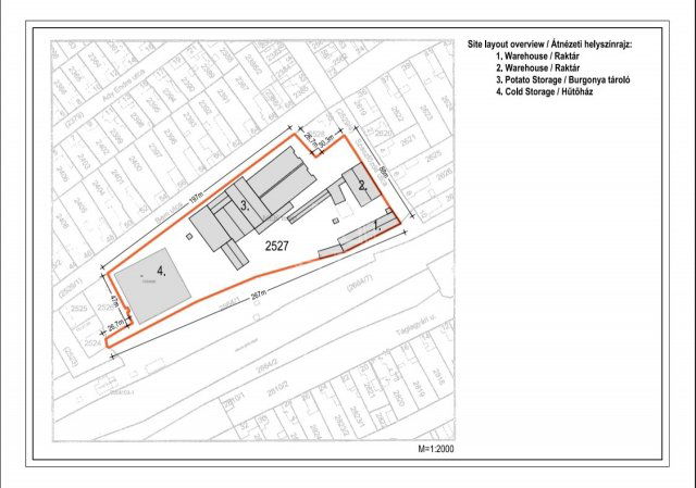
Jánoshalma belterületén, a vasútállomás közvetlen közelében, 2,1 ha ipari terület eladó. Az telken található kb. 8500 nm felépítmény egységei:
- 2100 nm többhelyiséges raktárépület, mely 3 db összesen több mint 900 nm működő hűtőkamrát magába foglal. Belmagasság: 6,3 m.
- Több ezer nm beton és téglaépület, mely burgonya tároló és szárító üzemként funkcionált.
-További 2 db. egyenként kb. 500 nm hidegraktár.
- Kb. 440 nm felújítandó irodaház.
- 15 nm mérlegház, 20 tonnás ipari mérleggel.
A víz városi vízhálózatról illetve saját fúrt kútról is biztosított, a szennyvíz elvezetése a városi csatorna hálózaton történik. Az áram ellátás 2-szer 3X160 amper. Az ingatlan területén működő ipari vasúti vágány is található. A be nem épített terület beton borítású, bármilyen nehéz jármű használhatja.
Várom megtisztelő érdeklődését erre a számtalan lehetőséget nyújtó, értékes ingatlanra! Hívjon bátran! ...TOVÁBBI, TÖBBEZRES INGATLAN KÍNÁLAT: www.gdn-ingatlan.hu - GDN azonosító: 352973

Hirdetés feltöltve: 2025. 02. 15. Utoljára módosítva: 2025. 09. 17.

Az ingatlan elhelyezkedése

Cím: Jánoshalma

Eladó ingatlanok a környékről

Eladó üzlethelyiség
Eladó üzlethelyiség

Jánoshalma

168 M Ft
924 m²
410 m2
Eladó ipari ingatlan
Eladó ipari ingatlan

Kecskemét

500 M Ft
6000 m²
2000 m2
Eladó ipari ingatlan
Eladó ipari ingatlan

Tiszakécske, Dózsa telep utca

150 M Ft
Eladó ipari ingatlan
Eladó ipari ingatlan

Kecskemét

1493 M Ft
38800 m2
Eladó családi ház
Eladó családi ház

Kecskemét

139.9 M Ft
4 szoba
151 m2
Eladó ipari ingatlan
Eladó ipari ingatlan

Pálmonostora

70 M Ft
1300 m2
Eladó ipari ingatlan
Eladó ipari ingatlan

Tiszakécske

152 M Ft
1000 m2
Eladó ipari ingatlan
Eladó ipari ingatlan

Kecskemét

249.99 M Ft
3000 m²
950 m2
Eladó telek
Eladó telek

Kecskemét

45.9 M Ft
1129 m²
1129 m2
Eladó családi ház
Eladó családi ház

Kiskunfélegyháza

118.5 M Ft
6 + 1 szoba
131 m2
Eladó ipari ingatlan
Eladó ipari ingatlan

Jánoshalma, Szeszfőzde utca

250 M Ft
21474 m2
Eladó családi ház
Eladó családi ház

Kecskemét

14.9 M Ft
1 + 1 szoba
22 m2
Eladó családi ház
Eladó családi ház

Baja

46 M Ft
3 szoba
89 m2
Eladó ipari ingatlan
Eladó ipari ingatlan

Jánoshalma

79.999 M Ft
700 m2
Eladó ipari ingatlan
Eladó ipari ingatlan

Jánoshalma

50 M Ft
80 m2
Eladó családi ház
Eladó családi ház

Bácsalmás

15.49 M Ft
2 szoba
65 m2
Eladó ipari ingatlan
Eladó ipari ingatlan

Tiszakécske, Szentkirályi út út

22 M Ft
Eladó ipari ingatlan
Eladó ipari ingatlan

Kiskunfélegyháza

260 M Ft
1000 m2
Eladó ipari ingatlan
Eladó ipari ingatlan

Jánoshalma

250 M Ft
21474 m2
Eladó családi ház
Eladó családi ház

Jánoshalma

4.99 M Ft
3 szoba
71 m2
Eladó mezogazdasagi ingatlan
Eladó mezogazdasagi ingatlan

Pálmonostora

12.8 M Ft
2 + 1 szoba
80 m2
Eladó ipari ingatlan
Eladó ipari ingatlan

Jánoshalma

79.999 M Ft
700 m2
Eladó családi ház
Eladó családi ház

Kiskunfélegyháza

22.5 M Ft
2 + 1 szoba
73 m2
Eladó ipari ingatlan
Eladó ipari ingatlan

Jánoshalma

30 M Ft
37702 m²
80 m2

Falusi CSOK ingatlanok

Eladó családi ház
Eladó családi ház

Törtel

34.9 M Ft
4 szoba
102 m2
Eladó családi ház
Eladó családi ház

Tihany

345 M Ft
6 szoba
347 m2
Eladó családi ház
Eladó családi ház

Kaszaper

14.5 M Ft
3 szoba
63 m2
Eladó családi ház
Eladó családi ház

Magyarszék

48.5 M Ft
3 + 1 szoba
86 m2
Eladó családi ház
Eladó családi ház

Bakonyság

51.9 M Ft
2 + 1 szoba
91 m2
Eladó családi ház
Eladó családi ház

Vácegres

28 M Ft
1 + 3 szoba
44 m2
Eladó családi ház
Eladó családi ház

Úrkút, Temető utca

99 M Ft
7 szoba
540 m2
Eladó családi ház
Eladó családi ház

Andornaktálya

133 M Ft
4 szoba
317 m2